Australia, timori per ciclone Ilsa: tempesta tra più distruttive
© Getty
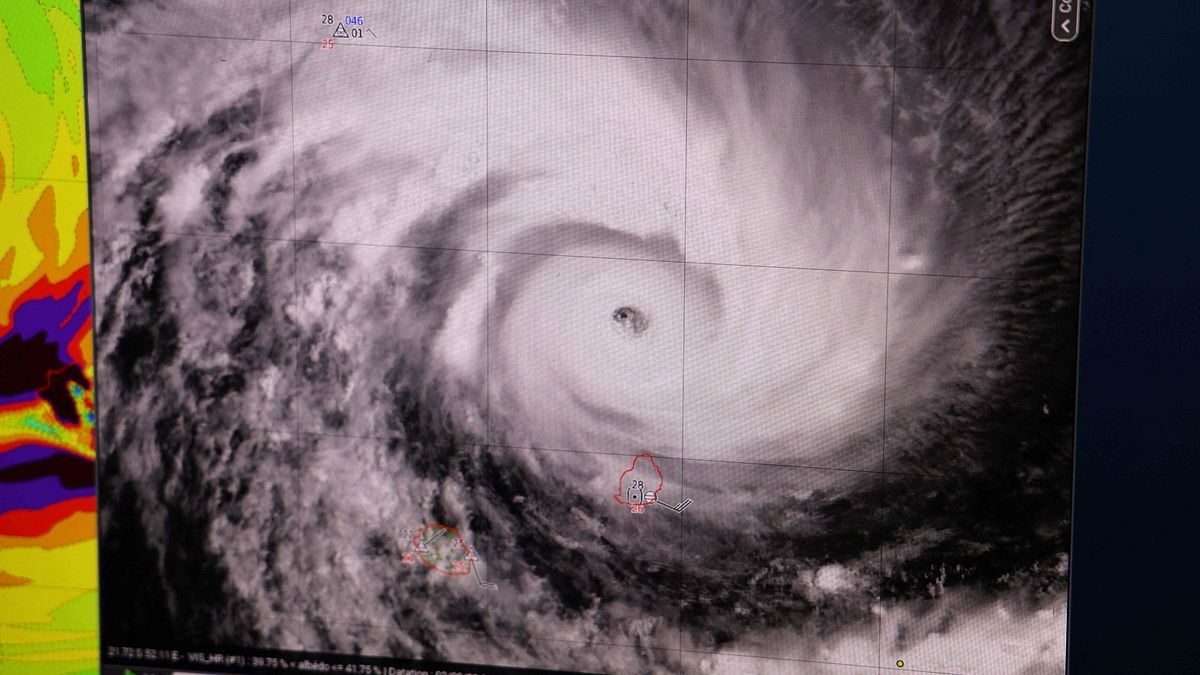
Al largo delle coste dell'Australia occidentale si sta rafforzando il ciclone Ilsa: la perturbazione, che si preannuncia essere una delle tempeste più distruttive registrate nell'area nell'ultimo decennio, dovrebbe raggiungere la costa tra giovedì e venerdì mattina. Secondo l'Ufficio meteorologico australiano, Ilsa dovrebbe toccare terra tra Port Hedland, un importante porto per l'esportazione di minerale di ferro, e Bidyadanga, sede della più grande comunità aborigena dello Stato. Sono previste raffiche di vento fino a 275 chilometri orari.
